Se trata del gobio, una especie originaria del Pacífico asiático. Una investigadora del Conicet y la UNRN lo describió en una publicación científica.
Un estudio desarrollado por una investigadora del Conicet y la Universidad Nacional de Río Negro reveló la presencia en el tramo final del río Negro de una variedad de gobio (Tridentiger bifasciatus), un pez exótico proveniente del océano Pacífico asiático, lo que podría impactar negativamente en el ambiente natural del curso de agua, ya afectado por otras especies introducidas, como la carpa.
El estudio lo realizó Andrea Tombari, docente e investigadora del Centro de Investigaciones y Transferencia de Río Negro (CIT Río Negro – UNRN Sede Atlántica), y fue publicado recientemente en la revista Acta Zoológica Lilloana, serie periódica de la Fundación Miguel Lillo.
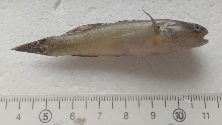
La voz de alerta la dieron Guillermo Fraile y Jorge Pérez, dos fanáticos pescadores deportivos que en mayo de este año comenzaron a capturar en cercanías de Viedma a los extraños ejemplares, que miden apenas entre 5 y 7 centímetros.
Como tienen contacto con Tombari, de inmediato la pusieron al tanto de la aparición de los desconocidos peces, por lo que la profesional les pidió que les acercaran algunos individuos para examinarlos.
El análisis lo realizó en el Laboratorio de Bioecología y Calidad Ambiental Acuática de la Sede Atlántica, y en el informe describió que morfológicamente los especímenes son pequeños, de forma tubular, cabeza corta y ancha, con hocico redondeado. Precisó además que presentan “rasgos diagnósticos característicos, como bandas longitudinales oscuras, dientes tricúspides en premaxilar y dentario” y “aletas pélvicas unidas y modificadas”.
El trabajo, primero que se efectuá de la especie en un estuario y el primero que indica su distribución austral, agregó que la presencia de los gobios en el río Negro podría estar vinculada con los registros logrados el año pasado en Pehuen-co, el balneario ubicado cerca de Monte Hermoso.
El agua de lastre como transporte
Este tipo de pez es originario del noroeste del Pacífico asiático, pero se ha expandido su distribución en las últimas décadas a distintas partes del mundo. En 1985 se registraron en California, en la costa oeste de Estados Unidos, y más tarde en Bélgica (2023).
Se presume que la especie se propagó transportada en el agua de lastre de barcos mercantes que navegan los mares internacionales, como sucedió con el alga undaria y el cangrejo verde, que están poblando la costa rionegrina.
En esos puertos lejanos, donde confluyen flotas de todos el planeta, los barcos cargan y descargan el líquido destinado a mantener la estabilidad de las naves durante el periplo marino, y al llegar al destino lo liberan, con todo lo que viene adentro, entre ello organismos acuáticos. La naturaleza hace lo demás.
Invasión preocupante
Lo inquietante del estudio de Tombari es que estos peces -de los que reconocen 212 géneros y 1875 especies en todo el mundo según animaldiversity.org- tienen “carácter generalista, amplia dieta y tolerancia a bajas salinidades que favorecen su establecimiento y su expansión”.
“Considerando que casi la mitad de las especies ícticas del río Negro son introducidas, este registro evidencia un incremento preocupante en la invasión de peces exóticos, con consecuencias potencialmente negativas para la biodiversidad regional”, advirtió la científica.
Incluso se han visto individuos en cursos de agua dulce alejados del mar, como los canales de riego de las chacras del IDEVI -Instituto de Desarrollo del Valle Inferior-, que se encuentra al oeste a la capital provincial, río arriba. Por eso no se descarta que puedan seguir ampliando su territorio.
“Notamos piques raros”
Guillermo Fraile es un pescador apasionado. Vive en Carmen de Patagones, donde tiene a mano tanto el río Negro como el mar para satisfacer su entusiasmo. En sus redes sociales (https://www.instagram.com/fraile_guillermo/ y https://www.facebook.com/fraileguillermo) comparte imágenes de sus capturas más destacadas y en distintos paisajes de la región.
“No es solo pescar. Es conocer al oponente. Ir con amigos, pasarla bien, compartir. La pesca te ayuda a despejar la mente, a compartir momentos, a cuidar el medio ambiente, a los peces. No es cuestión de sacar porque sí, desmedidamente. Todo lo que se pueda sacar hay que comerlo”, afirma con convicción.
Con lo gobios se toparon accidentalmente en una de las tantas salidas que hizo con su entrañable amigo Jorge Pérez. Fue allá por mayor. Habían ido a realizar unos tiros a la zona del río Negro, a pocos kilómetros de Viedma para el lado de la desembocadura, que se encuentra a poco más de 30 kilómetros de la capital rionegrina y Carmen de Patagones, que se encuentra enfrente y donde ambos viven.
Habían ido en busca de pejerreyes, pero tras algunos lances comenzaron sentir piques que no eran de pejerreyes.
“Notamos que eran piques raros, más violentos”, explicó. Más raro les pareció cuando sacaban las piezas, porque nunca las habían visto.
La sorpresa fue tal que le contaron la novedad a Andrea Combari, quien se puso en trabajar para saber de qué se trataba.
Fraile tomó el resultado del estudio con pesimismo. “Se adaptan al agua de mar y de río y es muy territorial. Aparentemente llegaron para quedarse”, lamentó.
Te puede interesar...
Leé más
Ya está la grilla confirmada para la Fiesta de la Manzana 2026: día por día, todos los artistas
EN VIVO | Mapa del viento en Neuquén, bajo alerta naranja por ráfagas de 100 km/h
Fiesta de la Confluencia 2026: qué dijo la Muni de los shows y las entradas de la noche cancelada
-
TAGS
- pez
- pescadores
- Río Negro
- carpas
- agua
Noticias relacionadas












Dejá tu comentario